Neolindus triangularis
| Neolindus triangularis | |
|---|---|
| |
| Scientific classification | |
| Kingdom: | Animalia |
| Phylum: | Arthropoda |
| Class: | Insecta |
| Order: | Coleoptera |
| Suborder: | Polyphaga |
| Infraorder: | Staphyliniformia |
| Family: | Staphylinidae |
| Genus: | Neolindus |
| Species: | N. triangularis
|
| Binomial name | |
| Neolindus triangularis Guzman, Tokareva & Żyła, 2024
| |
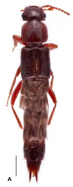
Neolindus triangularis is a species of beetle of the family Staphylinidae. This species is known from the type locality in French Guiana (Saint-Laurent-du-Maroni, Saül, Monts La Fumée), the surrounding forest, and an area around 130 km south-east from the type locality (Cayenne, Matoury).
Description
Adults have a brown head and pronotum, while the legs are light brown and the abdomen is brown.
Etymology
The species name is derived from Latin triangulus (meaning a triangle) and refers to the form of the median lobe of the aedeagus.[1]
