Akalyptoischion
| Akalyptoischion | |
|---|---|
| |
| Scientific classification | |
| Kingdom: | Animalia |
| Phylum: | Arthropoda |
| Class: | Insecta |
| Order: | Coleoptera |
| Suborder: | Polyphaga |
| Infraorder: | Cucujiformia |
| Superfamily: | Coccinelloidea |
| Family: | Lord et al., 2010 |
| Genus: | Andrews, 1976 |
| Species | |
|
See text | |
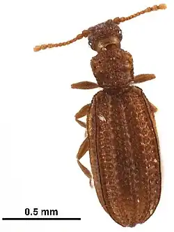
Akalyptoischion is a genus of coccinelloid beetle, the only member of the family Akalyptoischiidae. It was formerly included within the family Latridiidae but a molecular phylogenetic analysis found that it did not belong to that family. There are at least 24 described species in Akalyptoischion, which are native to western North America.[1][2][3][4][5] Members of the genus are flightless, found in oak leaf litter and in the nests of pack rats.[3][6]
Species
The following species belong to the genus Akalyptoischion:
- Akalyptoischion anasillos Andrews, 1976
- Akalyptoischion atrichos Andrews, 1976
- Akalyptoischion bathytrematos Hartley, Andrews & McHugh, 2007
- Akalyptoischion chandleri Andrews, 1976
- Akalyptoischion delotretos Hartley, Andrews & McHugh, 2007
- Akalyptoischion diadeletron Hartley, Andrews & McHugh, 2007
- Akalyptoischion dyskritos Hartley, Andrews & McHugh, 2007
- Akalyptoischion echinos Hartley, Andrews & McHugh, 2007
- Akalyptoischion gigas Hartley, Andrews & McHugh, 2007
- Akalyptoischion giulianii Andrews, 1976
- Akalyptoischion hadromorphus Hartley, Andrews & McHugh, 2007
- Akalyptoischion heptalocos Hartley, Andrews & McHugh, 2007
- Akalyptoischion heterotrichos Hartley, Andrews & McHugh, 2007
- Akalyptoischion hormathos Andrews, 1976
- Akalyptoischion lasiosus Hartley, Andrews & McHugh, 2007
- Akalyptoischion leptosoma Hartley, Andrews & McHugh, 2007
- Akalyptoischion parechinos Hartley, Andrews & McHugh, 2007
- Akalyptoischion pogonias Hartley, Andrews & McHugh, 2007
- Akalyptoischion polytremetron Hartley, Andrews & McHugh, 2007
- Akalyptoischion prionotus Hartley, Andrews & McHugh, 2007
- Akalyptoischion quadrifoveolata (Fall, 1899)
- Akalyptoischion sleeperi Andrews, 1976
- Akalyptoischion texas Hartley, Andrews & McHugh, 2007
- Akalyptoischion tomeus Andrews, 1976
References
- ^ "Akalyptoischion". GBIF. Retrieved 2019-01-19.
- ^ "Akalyptoischion Genus Information". BugGuide.net. Retrieved 2019-01-19.
- ^ a b Lord, Nathan Patrick; Hartley, Christopher S.; Lawrence, John F.; McHugh, Joseph V.; et al. (2010). "Phylogenetic analysis of the minute brown scavenger beetles (Coleoptera: Latridiidae), and recognition of a new beetle family, Akalyptoischiidae fam. n. (Coleoptera: Cucujoidea)". Systematic Entomology. 35: 753–763. ISSN 0307-6970.
- ^ Bouchard, Patrice; Bousquet, Yves; Davies, Anthony E.; Alonso-Zarazaga, Miguel A.; et al. (2011). "Family-group names in Coleoptera (Insecta)". ZooKeys (88): 1–972. doi:10.3897/zookeys.88.807. ISSN 1313-2989. PMC 3088472. PMID 21594053.
- ^ Hartley, Christopher S.; Andrews, Fred G.; McHugh, Joseph V. (2007-12-11). "A Taxonomic Revision of the Genus Akalyptoischion Andrews (Coleoptera: Latridiidae)". The Coleopterists Bulletin. 61 (sp6): 1–50. doi:10.1649/0010-065X(2008)61[1:ATROTG]2.0.CO;2. ISSN 0010-065X.
- ^ Hartley, Christopher S.; McHugh, Joseph V. (2010-12-31), Kükenthal, Willy; Leschen, Richard A.B.; Beutel, Rolf G.; Lawrence, John F. (eds.), "10.35. Latridiidae Erichson, 184", Coleoptera, Beetles, Volume 2, Morphology and Systematics (Elateroidea, Bostrichiformia, Cucujiformia partim), DE GRUYTER, pp. 481–486, doi:10.1515/9783110911213.481, ISBN 978-3-11-019075-5, retrieved 2022-10-21
