Abanycha fasciata
| Abanycha fasciata | |
|---|---|
| |
| Scientific classification | |
| Kingdom: | Animalia |
| Phylum: | Arthropoda |
| Class: | Insecta |
| Order: | Coleoptera |
| Suborder: | Polyphaga |
| Infraorder: | Cucujiformia |
| Family: | Cerambycidae |
| Genus: | Abanycha |
| Species: | A. fasciata
|
| Binomial name | |
| Abanycha fasciata Galileo & Martins, 2005
| |
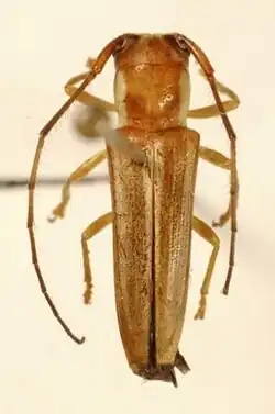
Abanycha fasciata is a species of beetle in the family Cerambycidae. It was described by Galileo and Martins in 2005. It is known from Venezuela.[1]
References
- ^ BioLib.cz - Abanycha fasciata. Retrieved on 8 September 2014.
